Hurricane Beryl: What To Expect

I.Collectivacademy 11 views
Hurricane Beryl: What To Expect

Hurricane Beryl: What to Expect

Hey everyone, let’s talk about Hurricane Beryl and what we can expect! Predicting hurricanes is a super complex science, and even the best meteorologists are constantly refining their models. When we talk about hurricane prediction, we’re looking at a whole bunch of factors, from sea surface temperatures and atmospheric pressure to wind patterns and historical data. The goal is to figure out where a storm like Beryl might go, how strong it could become, and what kind of impact it might have on coastal communities. It’s all about giving people advance warning so they can prepare and stay safe.

Think of it like this: meteorologists are essentially detectives, piecing together clues from the atmosphere. They use sophisticated computer models that simulate the weather, and these models are fed with tons of data from satellites, weather balloons, and buoys out in the ocean. The further out you try to predict, the more uncertainty there is. Small changes in initial conditions can lead to big differences in the forecast down the line. That’s why hurricane track forecasts are often presented as a cone of uncertainty – it shows the range of possible paths the storm could take. It’s not saying the storm will go everywhere in the cone, but rather that the center of the storm has a high probability of being within that area.

Understanding the Science Behind Hurricane Prediction

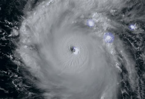
So, how do we actually predict a hurricane like Beryl ? It’s a fascinating mix of physics, data analysis, and cutting-edge technology. At its core, a hurricane is a giant heat engine, fueled by warm ocean water. The warmer the water, the more energy the storm can draw upon. Meteorologists constantly monitor sea surface temperatures across the tropical Atlantic and Eastern Pacific. When these temperatures reach a certain threshold (typically around 26.5 degrees Celsius or 80 degrees Fahrenheit), they provide the necessary fuel for tropical storm development. But it’s not just about warm water; you also need a few other ingredients to cook up a hurricane. Low vertical wind shear is crucial – that means the winds at different altitudes need to be blowing in roughly the same direction and at the same speed. If the wind shear is too high, it can literally tear a developing storm apart.

Another key factor is the presence of a pre-existing weather disturbance, like a tropical wave moving off the coast of Africa. These waves provide the initial spin and lift needed for thunderstorms to organize. Then there’s the atmospheric moisture content; a moist atmosphere allows thunderstorms to thrive and organize into a more powerful system. Finally, steering currents – large-scale wind patterns in the atmosphere – dictate the general direction a hurricane will travel. These steering currents can be influenced by things like the Bermuda High or the jet stream. All these elements are plugged into complex numerical weather prediction models. These models are essentially supercomputers running simulations of the atmosphere based on the laws of physics. Different models might use slightly different equations or start with slightly different data, which is why forecasters often look at a consensus of multiple models to get a better sense of the likely outcome. It’s a constant process of observation, analysis, and refinement to provide the best possible forecast for storms like Beryl.

Factors Influencing Hurricane Beryl’s Path and Intensity

When we’re trying to forecast Hurricane Beryl , guys, we need to consider a whole ecosystem of atmospheric and oceanic factors that can influence its path and, crucially, its intensity. One of the biggest players is the aforementioned steering currents. Think of these as the atmospheric highways that guide the hurricane. The position and strength of high-pressure systems, like the Bermuda-Azores High, are particularly important. If this high-pressure ridge is strong and extends westward, it can often force a hurricane to recurve northward, away from the United States. Conversely, if the high is weaker or positioned differently, a storm might have a more direct westward track towards the Caribbean or the Gulf of Mexico. The jet stream also plays a role, especially in the longer-term forecast. A strong jet stream dipping southward can pull a hurricane northward, while a more zonal (west-to-east) jet stream might allow for a more persistent westward track.

Beyond steering, the storm’s intensity is a whole other ballgame. As we touched on, warm ocean waters are the primary fuel. If Beryl moves over exceptionally warm water, it can intensify rapidly. However, even if the water is warm, other factors can hinder its growth. We already mentioned wind shear; strong vertical wind shear is a hurricane killer. Additionally, the storm needs to ingest dry air from its surroundings. Dry air can disrupt the storm’s internal structure and weaken it. Interaction with landmasses is another major factor. If Beryl makes landfall, friction will immediately begin to weaken it. Even passing near or over islands can disrupt its circulation and lessen its intensity. Finally, the storm’s own structure matters. A well-organized storm with a clear eye is generally stronger and more resilient than a disorganized one. Forecasters look at satellite imagery and radar data to assess this organization. So, for Beryl, it’s a complex interplay of these elements that will determine where it goes and how powerful it becomes.

How to Stay Informed About Hurricane Beryl

Knowing about Hurricane Beryl is one thing, but staying informed in real-time is absolutely critical for safety, especially if you live in an area that might be affected. The National Hurricane Center (NHC) is your go-to source for official advisories and forecasts. They issue regular updates, including tropical storm watches and warnings, hurricane watches and warnings, and, of course, the cone of uncertainty for track forecasts. You can find their information on their website, and they also have a strong presence on social media. Don’t just rely on one source, though; it’s always a good idea to have a few trusted outlets. Local news stations are invaluable because they can provide hyper-local details about potential impacts, evacuation orders, and shelter information. They often have meteorologists who can translate the broader NHC forecast into specific guidance for your community.

Preparing for Potential Impacts of Hurricane Beryl

When we talk about preparing for Hurricane Beryl , it’s all about being proactive, not reactive. The worst time to start thinking about your emergency plan is when a storm is already bearing down on you. First things first: have an emergency kit . This should include essentials like water (at least one gallon per person per day for several days), non-perishable food, a flashlight with extra batteries, a first-aid kit, medications, a multi-tool, sanitation and personal hygiene items, copies of important documents, and some cash. It’s also a good idea to have a battery-powered or hand-crank radio so you can stay informed even if the power goes out. Next, make a family emergency plan . Discuss with your loved ones where you will go if you need to evacuate, how you will contact each other if separated, and what you will do in different emergency scenarios. Secure your home . This means boarding up windows and doors if you’re in a storm surge or hurricane-force wind area. Bring inside any loose outdoor items, like patio furniture, trash cans, and decorations, that could become dangerous projectiles in high winds. Know your evacuation zone . If you live in a coastal area or a mobile home, you are likely to be in an evacuation zone. Have a plan for where you will go – a friend’s house inland, a designated shelter, or a hotel. Stay tuned to official information . As we discussed, the NHC and local authorities will provide critical updates, including evacuation orders. Don’t wait until the last minute to act on these orders. Being prepared takes time, and the sooner you start, the better off you’ll be when a storm like Beryl is on the horizon. Remember, it’s better to be overly prepared than not prepared at all. Your safety and the safety of your family are paramount. Don’t take chances when it comes to severe weather. Let’s all stay safe and informed, guys!