Hurricane Matthew: OSCPEI Satellite Image Analysis

I.Collectivacademy 65 views
Hurricane Matthew: OSCPEI Satellite Image Analysis

Hurricane Matthew: OSCPEI Satellite Image Analysis

Hey guys! Let’s dive into something super interesting today – Hurricane Matthew and the incredible imagery captured by OSCPEI (that’s the Ocean and Sea, Coastal, and Physical Environment Information). We’re talking satellite images, and believe me, they paint a powerful picture. So, grab your coffee, get comfy, and let’s explore how these images helped us understand and prepare for one of the most intense hurricanes in recent history.

Understanding Hurricane Matthew

First off, a little background on Hurricane Matthew . This was a seriously powerful storm, guys. It churned through the Caribbean and up the U.S. East Coast back in 2016. What made Matthew particularly scary was its longevity and the sheer intensity it maintained for so long. It was a Category 5 hurricane at its peak, and even as it weakened, it still packed a serious punch as it moved northward. We’re talking massive winds, torrential rain, and the potential for devastating storm surges. Knowing the storm’s path, intensity, and the areas it would impact was absolutely critical for saving lives and minimizing damage. That’s where stuff like the OSCPEI satellite images came into play.

The impact of Hurricane Matthew was widespread and devastating. Several Caribbean islands, including Haiti, suffered catastrophic damage. The storm then moved on to the southeastern United States, causing widespread flooding, power outages, and significant damage to infrastructure. Coastal communities faced particularly severe challenges, with storm surges inundating homes and businesses. The damage estimates ran into billions of dollars, underscoring the destructive power of the storm. The human cost was also significant, with loss of life and displacement of communities. The aftermath saw extensive relief efforts, with many organizations working to provide aid and help affected areas recover. The storm’s path and intensity demonstrated the importance of understanding hurricane dynamics and accurately predicting their movement to ensure adequate preparedness.

OSCPEI: Your Eyes in the Sky

Okay, so what exactly is OSCPEI ? It’s essentially a system that gathers and distributes environmental information, including a ton of data from satellites. Think of these satellites as high-tech eyes in the sky, constantly monitoring our planet. They collect all sorts of data: sea surface temperatures, wind speeds, cloud formations – all the juicy stuff that helps meteorologists understand and predict weather patterns. For a hurricane like Matthew, this data was absolutely invaluable. It allowed scientists and weather forecasters to track the storm’s movement, assess its intensity, and model its potential impact. This data is then used to create those stunning satellite images we see on the news, giving us a real-time view of the hurricane’s power.

OSCPEI’s role extends beyond simply providing images. It’s about providing the data that underpins our understanding of complex weather systems. The information gathered helps to develop and refine weather models, which are then used to predict the future. The accuracy of these models is constantly improving, but they rely heavily on the kind of detailed data that OSCPEI provides. This data also helps in post-storm analysis, allowing researchers to evaluate the effectiveness of forecasting models and response strategies. This is a continuous cycle of data collection, analysis, and improvement, all aimed at protecting communities from the impact of severe weather events. The data is often integrated with other sources, such as ground-based observations and radar data, to provide an even more comprehensive view of weather systems. The impact of OSCPEI is therefore widespread, supporting critical decision-making processes before, during, and after hurricanes and other natural disasters.

What Satellite Images Showed Us About Matthew

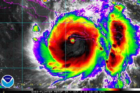
So, what did those satellite images of Hurricane Matthew actually show? A lot . First off, they clearly showed the storm’s eye – the calm, center of the hurricane. The images also revealed the spiral bands of thunderstorms that wrapped around the eye, the bands of intense rainfall, and the overall size and shape of the storm. By tracking these features over time, meteorologists could determine the storm’s speed, direction, and intensity. They could also assess how the storm was interacting with the environment, like the warm ocean waters that fuel a hurricane’s power. These images gave early warnings about Matthew’s intensification and helped forecast its potential impact on different coastal areas.

Let’s talk about the specific features visible in those satellite images. The eye is often a key indicator of a storm’s intensity. A well-defined, clear eye usually means a stronger hurricane. The spiral bands, with their characteristic cloud formations, provided clues about the distribution of rainfall and wind speeds. Satellite imagery also helped us to spot areas of developing convection and instability, helping forecasters to refine their models and provide more specific information. This is all integrated, and provides a continuous stream of information, enabling forecasters to make near real-time adjustments and enhance the accuracy of forecasts. The images aren’t just pretty pictures; they are a critical source of data used by various agencies to provide crucial updates to the public. Ultimately, all the information is incorporated into the warnings and advisories that are issued, so we could all stay safe.

The Importance of Satellite Imagery in Hurricane Preparedness

Why is all this important? Because satellite imagery is absolutely crucial for hurricane preparedness . It’s all about early warning and accurate forecasting, guys. The more information we have about a storm, the better we can prepare. This means: more time to evacuate vulnerable areas, prepare homes, and provide essential resources. Satellite data helps emergency responders know where to deploy resources, where the worst flooding is likely to occur, and where to focus their efforts. Basically, satellite images save lives.

Satellite imagery is a key component of a multi-faceted approach to hurricane preparedness. It’s often combined with other data sources, such as radar, buoy data, and ground-based observations to provide the most complete picture possible. This is then integrated into sophisticated weather models that are used to predict the storm’s path, intensity, and impact on specific areas. This information is used by government agencies, local authorities, and individuals to prepare and respond. Pre-storm planning includes everything from evacuation plans to securing properties and stockpiling supplies. Satellite images are a cornerstone of these efforts because they provide the initial information and ongoing updates. During a hurricane, these images help track the storm’s movement and intensity, helping forecasters and emergency responders to adapt their strategies. It doesn’t stop after the storm. The images continue to be valuable during the recovery phase, helping to assess the damage and guide the allocation of resources.

Using OSCPEI Images: A Practical Example

Let’s imagine you’re a city official in a coastal area. Before Hurricane Matthew is expected to make landfall, you’re glued to the OSCPEI satellite images. You’re watching the storm’s path, its intensity, and how the storm is changing. Based on this information, you can make decisions such as issuing evacuation orders for certain zones. You can also deploy emergency responders to high-risk areas. You can also prepare to provide shelter, food, and medical aid to those who need it. After the storm has passed, you’d use the images to assess the damage, identify areas most affected by flooding and begin to coordinate cleanup and rebuilding efforts. That kind of information is what helps save lives and minimizes the impact of these events.

Let’s say a coastal community is expected to be impacted. The OSCPEI imagery gives the necessary context for the severity of the expected storm surge. This information is combined with local data, like the height of the land and the location of the infrastructure. The city officials can then decide to issue mandatory evacuations for areas that will be flooded. The emergency responders can be deployed to high-risk locations. The imagery helps the officials to anticipate which roads will be blocked, and what areas will experience the most significant damage. All of this can provide crucial information to the citizens, allowing them to take necessary action. Post-storm assessment is another crucial application. Images are a critical part of the assessment, identifying where the damage is concentrated and determining priorities for the recovery effort. The use of this imagery extends from the individual to government, playing a crucial role in the management of these events.

Beyond Matthew: The Ongoing Importance of Satellite Imagery

The impact of OSCPEI and other satellite imagery extends far beyond Hurricane Matthew . It’s a technology that constantly evolves, making our predictions more accurate and our response more effective. The ability to monitor the Earth from space has become essential for understanding and managing all sorts of environmental threats. From tracking wildfires to monitoring deforestation, satellite imagery is a key tool in environmental science. The data is used for climate modeling, helping scientists understand long-term climate changes and predict future weather patterns. As technology improves, we can expect to see even more detailed and timely information, helping us to stay ahead of these powerful storms.

Looking ahead, it’s safe to say that satellite imagery will only become more important. New satellites and improved technology will continue to give us a clearer view of our planet. This will, in turn, help us better understand complex weather systems. As scientists and meteorologists continue to improve their models, our ability to predict the future and protect our communities will also increase. This technological evolution offers not just enhanced warnings for weather-related disasters but also supports global environmental monitoring. By providing crucial data, these advancements will contribute significantly to the preservation of both life and property in the face of our changing climate. Satellite imagery will have a role to play in helping us create a more resilient and sustainable future for everyone.