Hurricane Tracking: Live Satellite Views & Updates

I.Collectivacademy 74 views
Hurricane Tracking: Live Satellite Views & Updates

Hurricane Tracking: Live Satellite Views & Updates

Hey everyone! Ever wondered how meteorologists and hurricane experts keep tabs on these massive storms? Well, a big part of it involves some seriously cool technology, including live satellite views from the National Hurricane Center (NHC) and other organizations. Let’s dive in and explore how we can all access and understand these crucial resources. We’ll break down everything from where to find these satellite feeds to how to interpret the data they provide. This information is vital, particularly when we’re in the middle of hurricane season, as it allows us to stay informed, prepare adequately, and make smart decisions to protect ourselves and our loved ones. Understanding hurricane tracking is a key part of staying safe and informed during storm season. So, let’s get started and explore the live satellite feeds and other valuable resources available to everyone.

Decoding Hurricane Tracking with Live Satellite Imagery

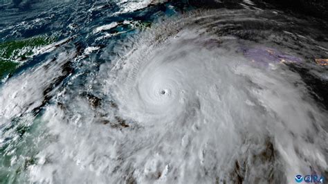
So, what exactly is the deal with hurricane tracking and live satellite imagery ? Put simply, it’s the process of using satellites to monitor and analyze hurricanes, tropical storms, and other severe weather systems. These satellites are packed with advanced instruments that capture images and collect data about various aspects of the storms. They can track a hurricane’s location, measure its wind speeds, estimate its size, and assess its intensity. The live satellite feeds we see are essentially real-time snapshots of the storms, constantly updated, allowing experts and the public to monitor their progress. Think of it like a live news feed for hurricanes. This constant stream of data is incredibly useful for several reasons. Firstly, it helps hurricane experts to predict the storm’s path, which is crucial for issuing timely warnings and advisories. Secondly, it provides essential information for emergency management teams, enabling them to mobilize resources and coordinate rescue efforts. Moreover, it assists individuals and communities in making informed decisions about their safety and taking the necessary precautions. Being able to access this information can make a massive difference in how we prepare and respond. Access to these resources allows us to see how a storm is developing and track its trajectory over time, allowing for more precise forecasting and better preparation.

One of the primary benefits of live satellite imagery is its ability to provide a comprehensive view of the entire storm system. Unlike ground-based radar, which can be limited by the horizon or obstructions, satellites can observe the storm from above. This vantage point allows scientists to see the full extent of the storm’s cloud structure, which can be critical for assessing its intensity and potential impact. Using a live satellite feed, you can actually see the swirling pattern of a hurricane, the eye of the storm, and the surrounding rainbands. This visual information is critical. Another significant advantage of satellite imagery is its capacity to gather data on a wide range of atmospheric conditions. Satellites are equipped with sensors that can measure temperature, humidity, wind speed, and other crucial parameters. This data helps meteorologists create sophisticated models that predict the storm’s behavior. Satellites can help us track changes in storm intensity over time. This information is used to anticipate whether a storm might strengthen or weaken, and to issue the right warnings. Finally, live satellite imagery is a powerful tool for communicating the threat of a hurricane to the public. The images and animations generated from these images can make the complex information about storms easily understood. Visualizing a storm’s approach helps everyone understand the need for preparedness and taking precautions. This is all an integral part of understanding how we can stay safe and informed during hurricane season, all thanks to some amazing technology and the tireless efforts of organizations like the National Hurricane Center .

Where to Find Live Satellite Feeds

Alright, you’re probably thinking, “Where can I get access to these amazing live satellite feeds?” Don’t worry, the information is readily available, and easy to access! The National Hurricane Center (NHC) is, of course, a primary source. The NHC’s website is a treasure trove of information, including real-time hurricane tracking data, forecasts, and satellite imagery. You can easily find the latest images and animations of active storms. The NHC’s website is usually updated very frequently, so it is your go-to location for real-time information. Another great resource is the National Oceanic and Atmospheric Administration (NOAA). NOAA’s website offers a wealth of data on weather patterns, including detailed satellite views. Their website features various tools that enable you to visualize and analyze storm data. In addition to these official sources, there are other private and public resources that provide access to live satellite feeds and hurricane tracking information. Many news outlets and weather websites embed real-time images and forecasts directly into their reporting.

When exploring these live satellite feeds, there are a few things to keep in mind. Be sure to check the date and time of the imagery, so you are looking at the most current information. Additionally, familiarize yourself with the symbols and color codes used in the images. Most importantly, remember that the data is constantly evolving and that the situation can change rapidly. Being able to access these resources is a significant advantage in staying informed and being prepared during hurricane season. Finally, make sure the sources you use are reliable and accurate. Always defer to official sources. The National Hurricane Center and NOAA are your best bets.

Understanding the Data: What Satellite Images Tell Us

Okay, so you’ve found a live satellite feed. Now what? The key is knowing how to interpret the images and data they provide. Different types of satellite imagery offer different kinds of information. Here’s a quick guide:

  • Visible Imagery: Similar to a regular photograph, visible imagery shows the storm’s cloud structure. It’s best used during daylight hours, as you need sunlight to see the clouds.
  • Infrared Imagery: This type of imagery measures the temperature of the clouds. Colder cloud tops (shown as brighter colors) often indicate more intense thunderstorms and heavier rainfall. This is helpful day or night. It shows you the heat signatures of the storms. This information is a critical component of understanding a storm’s intensity and its potential for causing damage.
  • Water Vapor Imagery: This measures the amount of water vapor in the atmosphere. It helps meteorologists track the flow of moisture around the storm and anticipate where it might intensify. The data from this type of imagery is helpful in understanding the dynamics of the storm. It helps us see where the storm is likely to intensify or weaken.

Each of these image types has a different use, so looking at all of them at once paints a comprehensive picture of the storm. When you are looking at an image, pay attention to the scale, which indicates the size of the storm. Also, check the legend, which will help you understand the color codes. Most importantly, remember that this is just a single piece of the puzzle. Meteorologists use all of this data, in addition to many other tools, to create their forecasts.

Beyond Satellite Images: Additional Resources for Hurricane Tracking

While live satellite imagery is an invaluable tool for hurricane tracking , it’s only one part of the equation. To get a complete understanding of a hurricane, you should also consult a variety of other resources. The National Hurricane Center (NHC) is, once again, your go-to source. They provide detailed forecasts, including the storm’s projected path, intensity, and potential impacts. The NHC also issues warnings and advisories that can tell you what to expect. NOAA’s website offers another layer of data, including information on wind speeds, rainfall amounts, and storm surge predictions. If you live in an area that is vulnerable to hurricanes, you should sign up for local emergency alerts. These alerts will keep you informed of any immediate threats to your area. In addition to official sources, a lot of news outlets and weather websites provide up-to-date hurricane coverage, including live blogs, videos, and interactive maps. These sources can give you context and explain all the data in an easily understandable format. It is also important to remember that weather models are imperfect, and forecasts can change. Always be prepared to adapt to changing conditions and follow the instructions of local officials. The combination of live satellite data, forecasts, and local alerts gives you all the tools you need to stay safe during a hurricane .

Staying Safe During Hurricane Season

So, you know how to access and interpret the live satellite feeds and other hurricane tracking resources. But what should you do with this information? The primary goal is to stay safe and protect yourself, your family, and your property. Here are some key steps to take:

  • Stay Informed: Keep an eye on the hurricane forecasts from the National Hurricane Center and your local news sources. Be aware of any warnings or advisories issued for your area. The more information you gather, the better prepared you will be to act.
  • Prepare Your Home: Secure your home by trimming trees, removing loose objects from your yard, and covering your windows. Make sure your home is as prepared as it can be.
  • Have a Plan: Decide where you will go if you need to evacuate. Pack an emergency kit with essentials like food, water, medications, and a first-aid kit. Having a plan will reduce stress.
  • Follow Instructions: When a hurricane is approaching, follow the instructions of local officials. If they order an evacuation, evacuate immediately. The most important thing is to listen to the authorities.
  • Stay Safe: During a hurricane, stay indoors and away from windows and doors. Be prepared for power outages and flooding. Take shelter and stay safe.

Live satellite feeds, hurricane tracking data, and all the other information provided by the National Hurricane Center and other organizations are invaluable tools for staying safe during hurricane season. By understanding these resources and taking the necessary precautions, you can reduce the risks and be better prepared to weather the storm.