Hurricanes: Tracking With OSCHURRICANESC, SCTrackersc & NOAA

I.Collectivacademy 110 views
Hurricanes: Tracking With OSCHURRICANESC, SCTrackersc & NOAA

Hurricanes: Tracking with OSCHURRICANESC, SCTrackersc & NOAA

Understanding and tracking hurricanes is crucial for communities in coastal regions. With advanced tools like OSCHURRICANESC , SCTrackersc , and the reliable data from NOAA (National Oceanic and Atmospheric Administration), we can stay informed and prepared. In this article, we’ll explore how these resources contribute to hurricane tracking and preparedness, ensuring you have the information you need to keep yourself and your loved ones safe.

Understanding OSCHURRICANESC

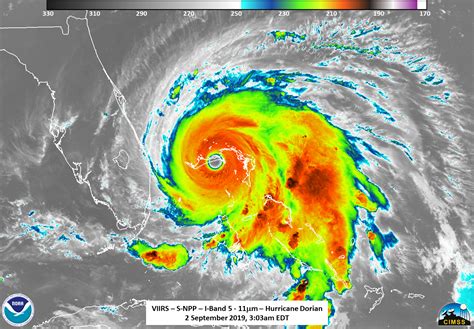
OSCHURRICANESC serves as a vital online platform dedicated to providing real-time updates and comprehensive information on hurricanes. Guys, this tool is super helpful because it aggregates data from various sources, including NOAA , and presents it in an easy-to-understand format. When you visit the OSCHURRICANESC website, you’ll typically find interactive maps showing the current location and predicted path of active hurricanes. These maps often include detailed overlays displaying wind speed, storm surge potential, and rainfall forecasts. This is super useful for visualizing the storm’s impact on different areas.

One of the standout features of OSCHURRICANESC is its ability to provide customized alerts based on your location. You can set up notifications to receive warnings when a hurricane approaches your area, giving you ample time to prepare. These alerts usually include specific recommendations, such as evacuation routes and safety precautions. The platform also offers educational resources that explain the science behind hurricanes, helping you understand the factors that influence their development and behavior. This knowledge empowers you to make informed decisions and take proactive steps to protect yourself and your community. Moreover, OSCHURRICANESC often includes links to official emergency management agencies, ensuring you have access to the most up-to-date and reliable guidance during a hurricane event. This comprehensive approach makes OSCHURRICANESC an indispensable tool for anyone living in hurricane-prone areas. It’s designed to keep you informed, prepared, and safe. By leveraging technology and data, OSCHURRICANESC helps bridge the gap between scientific information and practical action, ultimately saving lives and minimizing the impact of these powerful storms.

Delving into SCTrackersc

SCTrackersc , while potentially less widely known than OSCHURRICANESC or NOAA , plays a significant role in hurricane tracking and data analysis, particularly within specific regional contexts. SCTrackersc often focuses on providing localized information, tailored to the needs of specific communities or regions. This targeted approach allows for a more granular understanding of a hurricane’s potential impact on specific areas. You know, guys, it’s like having a hyper-local weather expert right at your fingertips!

This platform is particularly valuable for its detailed data visualizations, which can include high-resolution maps and predictive models that show the expected path and intensity of a hurricane as it approaches land. These visualizations often incorporate real-time data from weather stations, buoys, and other monitoring devices, providing a comprehensive view of the storm’s characteristics. SCTrackersc also excels in offering historical data and analysis of past hurricanes, which can be invaluable for understanding long-term trends and patterns. By studying how previous storms have impacted specific areas, SCTrackersc can help communities better prepare for future events. This includes identifying vulnerable areas, assessing the effectiveness of existing infrastructure, and developing more resilient building codes. Additionally, SCTrackersc often provides educational resources and outreach programs aimed at increasing public awareness and preparedness. These initiatives can include workshops, seminars, and online materials that explain the science behind hurricanes and provide practical tips for staying safe. By fostering a culture of preparedness, SCTrackersc helps empower communities to take proactive steps to protect themselves and their property. The platform’s emphasis on localized information and community engagement makes it a valuable asset for anyone living in hurricane-prone areas. It complements the broader efforts of organizations like NOAA and OSCHURRICANESC , providing a more focused and tailored approach to hurricane tracking and preparedness.

The Indispensable Role of NOAA

NOAA (National Oceanic and Atmospheric Administration) is the backbone of hurricane tracking and forecasting in the United States. As a federal agency, NOAA is responsible for monitoring weather patterns, collecting data from a variety of sources, and developing predictive models to forecast the path and intensity of hurricanes. NOAA ’s work is crucial for providing timely and accurate information to the public, allowing individuals and communities to prepare for potential impacts. You know, NOAA is like the superhero of weather forecasting!

One of NOAA ’s primary tools for hurricane tracking is the network of satellites that orbit the Earth, constantly monitoring weather conditions and providing valuable data on storm formation and movement. These satellites are equipped with advanced sensors that can measure temperature, humidity, wind speed, and other critical parameters, allowing NOAA to track hurricanes in real-time. In addition to satellites, NOAA also utilizes a fleet of research aircraft, including the famous “hurricane hunters,” which fly directly into storms to collect data from within the eye of the hurricane. These flights provide valuable insights into the storm’s structure and intensity, helping NOAA refine its predictive models. NOAA also operates a network of weather buoys and coastal stations that provide continuous monitoring of sea conditions, including wave height, water temperature, and salinity. This data is essential for understanding the interaction between hurricanes and the ocean, which can significantly influence storm intensity. NOAA ’s data and forecasts are disseminated through a variety of channels, including the National Weather Service website, television broadcasts, and mobile apps. This ensures that the public has access to the latest information and can make informed decisions about their safety. NOAA also works closely with state and local emergency management agencies to coordinate preparedness and response efforts. This collaboration is crucial for ensuring that communities have the resources and support they need to effectively manage the impacts of hurricanes. NOAA ’s commitment to scientific research and technological innovation makes it a vital resource for hurricane tracking and preparedness. By continually improving its forecasting capabilities and disseminating timely information, NOAA helps protect lives and property in hurricane-prone areas.

Integrating These Resources for Maximum Preparedness

To maximize your preparedness for hurricanes, it’s essential to integrate the information from OSCHURRICANESC , SCTrackersc , and NOAA . These resources complement each other, providing a comprehensive understanding of potential risks and how to mitigate them. Guys, think of it as building a super-powered hurricane defense system!

Start by regularly checking the NOAA website for the latest hurricane forecasts and warnings. NOAA provides the most authoritative and up-to-date information on storm tracks, intensity, and potential impacts. Next, use OSCHURRICANESC to visualize the storm’s path and assess its potential impact on your specific location. OSCHURRICANESC ’s interactive maps and customized alerts can help you understand the risks and take appropriate action. If you live in a region served by SCTrackersc , take advantage of its localized information and data visualizations. SCTrackersc can provide a more granular understanding of the storm’s potential impact on your community, allowing you to tailor your preparedness efforts accordingly. In addition to monitoring these resources, it’s also important to develop a comprehensive hurricane preparedness plan. This plan should include steps for securing your home, stocking up on essential supplies, and evacuating if necessary. Make sure everyone in your family knows the plan and understands their roles and responsibilities. It’s also a good idea to sign up for local emergency alerts and follow the instructions of local authorities. By integrating these resources and developing a comprehensive preparedness plan, you can significantly reduce your risk of being impacted by a hurricane. Remember, being informed and prepared is the best way to protect yourself and your loved ones.

Staying Safe During a Hurricane

Once a hurricane is imminent, your focus should shift to staying safe and protecting yourself and your loved ones. Guys, this is when you put your preparedness plan into action! If you are advised to evacuate, do so immediately. Follow the designated evacuation routes and bring essential supplies with you. If you are not able to evacuate, stay indoors and away from windows and doors. Choose a safe room, such as an interior bathroom or closet, and stay there until the storm has passed. It’s important to stay informed during the storm by monitoring NOAA weather radio or checking online resources. However, be aware that power outages may occur, so it’s a good idea to have a battery-powered radio or a backup power source for your electronic devices.

Avoid walking or driving through flooded areas, as the water may be deeper than it appears and can contain hidden hazards. Be aware of the risk of downed power lines and stay away from them. After the storm has passed, inspect your home for damage and report any issues to your insurance company. Be cautious when cleaning up debris, as there may be sharp objects or hazardous materials present. By following these safety guidelines, you can minimize your risk of injury and ensure your well-being during and after a hurricane. Remember, staying safe is the top priority, so take the necessary precautions and follow the instructions of local authorities.

By leveraging the power of OSCHURRICANESC , SCTrackersc , and NOAA , you can stay informed, prepared, and safe during hurricane season. These resources provide valuable information and tools that can help you understand the risks and take appropriate action. So, guys, get informed, get prepared, and stay safe!