Live Hurricane Tracker: NOAA's Real-Time Map Updates

I.Collectivacademy 21 views
Live Hurricane Tracker: NOAA's Real-Time Map Updates

Live Hurricane Tracker Map NOAA: Stay Informed and Safe

Hey guys! Are you looking to stay informed about hurricanes in real-time? Knowing where these powerful storms are headed is crucial for preparation and safety. That’s where a live hurricane tracker map NOAA comes in super handy. These maps provide up-to-the-minute information, allowing you to monitor a storm’s path, intensity, and potential impact. So, let’s dive deep into why these trackers are essential, how to use them, and what to look for to keep yourself and your loved ones safe. Getting started with a live hurricane tracker map NOAA is easier than you might think, and understanding the data they present can make all the difference in your preparedness.

Why Use a Live Hurricane Tracker Map?

Using a live hurricane tracker map NOAA offers numerous benefits, mainly centered around providing timely and accurate information. These maps aggregate data from various sources, including satellites, buoys, and weather models, to give you a comprehensive view of a hurricane’s current status. One of the primary advantages is real-time monitoring. Forget outdated news reports; with a live tracker, you see exactly where the storm is now. This is critical because hurricanes can change direction and intensity rapidly. Having access to this immediate data empowers you to make informed decisions about evacuation, securing your property, and stocking up on supplies. Furthermore, these maps often include detailed forecasts, predicting the storm’s path over the next few days. This allows you to anticipate potential impacts and plan accordingly. Many trackers also offer historical data, allowing you to see how past hurricanes have behaved in similar conditions, which can provide valuable insights for current situations. In short, a live hurricane tracker map NOAA is your go-to tool for staying ahead of the storm.

Another compelling reason to use a live hurricane tracker map NOAA is its ability to provide granular details about the storm. Beyond just showing the storm’s location, these maps often display crucial parameters such as wind speed, pressure, and storm surge predictions. Wind speed is an obvious indicator of the storm’s intensity and potential for damage, but pressure readings can also provide valuable information about the storm’s strength. Lower pressure typically indicates a stronger storm. Storm surge, which is the abnormal rise of water levels during a hurricane, is often the deadliest aspect of these storms. Many live trackers now offer storm surge forecasts, highlighting areas at the highest risk of inundation. This information is vital for coastal residents who need to make decisions about evacuation routes and timelines. Additionally, some advanced trackers integrate weather models, showing the range of possible paths the storm might take. This is often displayed as a “cone of uncertainty,” which helps you understand the potential variability in the storm’s future track. By providing this level of detail, a live hurricane tracker map NOAA goes beyond simple tracking, offering a comprehensive suite of tools for hurricane preparedness.

Finally, using a live hurricane tracker map NOAA promotes a proactive approach to safety. Instead of waiting for official warnings or relying on second-hand information, you can take control of your preparedness efforts. By regularly monitoring the storm’s progress, you can make timely decisions about protecting your home, family, and community. This is especially important for those living in vulnerable areas, such as coastal regions or low-lying areas prone to flooding. Having access to a reliable live tracker empowers you to assess your personal risk and take appropriate action. Furthermore, these maps can be shared with friends, family, and neighbors, helping to ensure that everyone in your community is well-informed. In today’s world, where information is readily available at our fingertips, there’s no excuse for being unprepared. A live hurricane tracker map NOAA is an invaluable resource for staying informed, making smart decisions, and keeping yourself and your loved ones safe during hurricane season. So, make it a habit to check the tracker regularly and stay vigilant.

How to Access a Live Hurricane Tracker Map NOAA

Accessing a live hurricane tracker map NOAA is incredibly easy in today’s digital age. The primary source for these maps is the National Oceanic and Atmospheric Administration (NOAA) itself. NOAA’s National Hurricane Center (NHC) website is a goldmine of information, providing real-time tracking maps, forecasts, and advisories. Simply navigate to the NHC website, and you’ll find the latest updates prominently displayed. The maps are interactive, allowing you to zoom in and out, view different data layers, and explore the storm’s predicted path. In addition to the NHC website, many reputable weather websites and apps also provide live hurricane trackers. These often pull data directly from NOAA, presenting it in a user-friendly format. Popular options include The Weather Channel, AccuWeather, and local news outlets that have dedicated weather sections on their websites and apps. When choosing a tracker, make sure it’s from a reliable source to ensure you’re getting accurate information. Look for sources that cite NOAA or NHC as their primary data provider. With a few clicks or taps, you can have a live hurricane tracker map NOAA at your fingertips.

Another avenue for accessing a live hurricane tracker map NOAA is through specialized hurricane tracking apps. These apps are designed specifically for monitoring tropical cyclones and often offer advanced features beyond what’s available on general weather apps. For example, some apps provide push notifications that alert you when a hurricane enters your area or when there’s a significant change in the storm’s intensity or path. Others offer customizable map layers, allowing you to view specific data points, such as wind speed probabilities or storm surge forecasts. Many of these apps are available for both iOS and Android devices, making it easy to stay informed no matter where you are. When selecting a hurricane tracking app, read reviews and check its ratings to ensure it’s reliable and accurate. Also, consider whether the app offers offline access to data, which can be crucial if you lose internet connectivity during a storm. By exploring these specialized apps, you can enhance your hurricane preparedness and stay one step ahead of the storm. Remember to cross-reference the information with official NOAA sources to ensure accuracy.

Finally, don’t underestimate the value of local news and weather broadcasts when trying to access a live hurricane tracker map NOAA . Local news stations often have dedicated meteorologists who provide in-depth coverage of hurricanes affecting your area. They typically use NOAA data to create their own tracking maps and forecasts, tailoring the information to your specific region. These broadcasts can provide valuable insights into the potential impacts on your community, such as road closures, evacuation orders, and shelter locations. Many local news stations also have websites and apps that offer live hurricane trackers and up-to-the-minute updates. By watching or listening to local news, you can stay informed about the latest developments and get personalized advice from trusted experts. This is especially important during a rapidly evolving situation when it’s crucial to have access to timely and accurate information. So, make sure to tune into your local news and weather broadcasts to complement the information you’re getting from online trackers and apps. Staying informed from multiple sources will help you make the best decisions for your safety and well-being.

Understanding the Data on a Hurricane Tracker Map

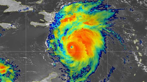
Understanding the data presented on a live hurricane tracker map NOAA is crucial for interpreting the storm’s potential impact. The most prominent feature is usually the storm’s current location, indicated by a symbol, often a hurricane icon. Surrounding this symbol, you’ll typically see the storm’s track, represented by a line or path. This line shows the storm’s past movement and predicted future path. It’s important to pay attention to the cone of uncertainty, which is a shaded area surrounding the track line. This cone represents the range of possible paths the storm might take, acknowledging that forecasts are not always exact. The wider the cone, the greater the uncertainty in the forecast. Within the map, you’ll also find information about the storm’s intensity, usually displayed as wind speed and pressure. Wind speed is typically given in miles per hour (mph) or knots, while pressure is measured in millibars (mb). Lower pressure readings generally indicate a stronger storm. Understanding these basic elements will help you assess the storm’s potential impact and make informed decisions about your safety.

Beyond the basics, a live hurricane tracker map NOAA often includes more detailed data layers that provide a deeper understanding of the storm. One important layer is storm surge potential. This layer highlights areas at risk of coastal flooding due to the storm’s surge. The maps often use color-coding to indicate the level of risk, with darker colors representing higher surge potential. Another useful layer is rainfall predictions. This layer shows the expected amount of rainfall in different areas, which can help you assess the risk of inland flooding. Many trackers also display wind speed probabilities, which indicate the likelihood of experiencing certain wind speeds in different locations. This can be particularly helpful for determining the potential for wind damage. Additionally, some advanced trackers integrate satellite imagery, allowing you to see the storm’s structure and cloud patterns in real-time. By exploring these data layers, you can gain a more comprehensive understanding of the storm’s potential impact and make more informed decisions about your preparedness efforts. Remember to consult the map’s legend or key to understand the meaning of the different colors and symbols used.

Finally, it’s important to understand the limitations of the data presented on a live hurricane tracker map NOAA . While these maps provide valuable information, they are based on forecasts, which are inherently uncertain. The cone of uncertainty highlights this uncertainty, reminding us that the storm’s actual path may deviate from the predicted path. Furthermore, the intensity of the storm can change rapidly, making it difficult to predict its future strength with complete accuracy. Therefore, it’s crucial to use the information on the tracker as a guide, but not as a definitive prediction. Stay informed by consulting multiple sources, including official advisories from NOAA and local emergency management agencies. Be prepared to adjust your plans as the storm evolves, and prioritize your safety above all else. By understanding the limitations of the data and staying vigilant, you can use a live hurricane tracker map NOAA effectively to protect yourself and your loved ones during hurricane season. Stay safe, guys!

Staying Safe During a Hurricane

Okay, so you’ve got your live hurricane tracker map NOAA up and running, and you’re keeping a close eye on the storm. But what else should you do to stay safe during a hurricane? First and foremost, heed all warnings and evacuation orders issued by local authorities. If you’re told to evacuate, don’t hesitate. Gather your family, pets, and essential belongings, and head to a designated shelter or a safe location outside the affected area. Ignoring evacuation orders can put your life and the lives of emergency responders at risk. Before the storm hits, secure your home by boarding up windows, bringing in outdoor furniture, and trimming trees and shrubs. These measures can help minimize damage from high winds and flying debris. It’s also a good idea to disconnect electronic devices to protect them from power surges. Remember, preparation is key to staying safe during a hurricane.

Another crucial aspect of hurricane safety is having an emergency kit ready to go. This kit should include essential supplies such as food, water, medications, first-aid supplies, a flashlight, a battery-powered radio, and extra batteries. Aim to have at least a three-day supply of non-perishable food and water for each person in your household. Don’t forget to include pet food and any necessary medications for your furry friends. Keep your emergency kit in an easily accessible location, and make sure everyone in your family knows where it is. Regularly check the kit to ensure that the food and water haven’t expired and that the batteries are still fresh. Having a well-stocked emergency kit will provide you with peace of mind and help you weather the storm more comfortably. Also, consider including important documents like insurance policies, identification, and medical records in a waterproof container.

Finally, during the hurricane, stay indoors and away from windows and doors. Find a safe room, such as an interior bathroom or closet, and take shelter there. Monitor the storm’s progress using your live hurricane tracker map NOAA and listen to local news broadcasts for updates and instructions. Avoid using electronic devices unless necessary, as power outages are common during hurricanes. If you lose power, use flashlights instead of candles to prevent fires. Never go outside during the eye of the storm, as the calm is only temporary, and the storm’s winds will return suddenly. After the storm passes, be cautious of downed power lines and flooded areas. Report any hazards to the authorities, and wait for the all-clear before venturing outside. By following these safety tips and staying informed with your live hurricane tracker map NOAA , you can significantly reduce your risk of injury or death during a hurricane. Remember, preparation and caution are your best defenses against these powerful storms. Stay safe out there, and keep checking that tracker!