NOAA Satellite Imagery Explained
NOAA Satellite Imagery Explained: Your Ultimate Guide
Hey everyone, let’s dive into the fascinating world of NOAA satellite imagery ! If you’re anything like me, you’re probably glued to the news during hurricane season, watching those swirling storms and wondering how they’re tracked. Well, a huge part of that tracking magic comes from the amazing data provided by the National Oceanic and Atmospheric Administration (NOAA) satellites. This guide is your friendly, easy-to-understand explanation of how these satellites work, what kind of info they provide, and how you can use this incredible resource. We’ll explore the basics, from the different types of imagery to where you can find this valuable information. Ready to become a weather wiz? Let’s get started!
Table of Contents
- Understanding NOAA Satellites and Their Purpose
- The Two Main Types: Geostationary and Polar-orbiting Satellites
- Decoding Satellite Imagery: What You’re Really Seeing
- Visible Imagery
- Infrared Imagery
- Water Vapor Imagery
- Accessing NOAA Satellite Data: Where to Find the Goods
- NOAA’s Official Websites
- Weather Apps and Websites
- University and Research Websites
- Interpreting the Images: Tips for Beginners
- Cloud Types and Patterns
- Color Scales
- Animation
- The Impact of NOAA Satellite Data
- Conclusion: The Future of NOAA Satellite Imagery
Understanding NOAA Satellites and Their Purpose
So, what exactly are NOAA satellites, and why are they so darn important? Think of them as the eyes in the sky, constantly watching our planet. NOAA operates a fleet of satellites that are specifically designed to monitor Earth’s weather, climate, and environment. These satellites are packed with sophisticated instruments that collect a wide range of data, from cloud formations and sea surface temperatures to atmospheric conditions and even vegetation health. The primary goal of these satellites is to provide critical information for weather forecasting, climate monitoring, and disaster preparedness. This information is absolutely vital for predicting and tracking hurricanes, as well as other severe weather events like thunderstorms, tornadoes, and blizzards. Without these satellites, we’d be flying blind when it comes to understanding and preparing for some of the most dangerous weather phenomena. NOAA satellites provide us with real-time data, allowing meteorologists and scientists to make informed decisions and issue timely warnings, saving lives and protecting property. These satellites also play a critical role in climate research, helping us to understand long-term trends and the impacts of climate change on our planet. They gather essential data on things like ice cover, sea levels, and greenhouse gas concentrations, providing valuable insights into our changing climate. They help keep an eye on environmental challenges, like pollution, deforestation, and other types of ecological damage. So, in a nutshell, NOAA satellites are essential for protecting lives, safeguarding property, and understanding the health of our planet. They are constantly at work, collecting data, and providing us with the information we need to make informed decisions about our environment and our future. Without them, we would be in a far less informed state regarding environmental and climate change impacts.
The Two Main Types: Geostationary and Polar-orbiting Satellites
Okay, so we know NOAA has these amazing satellites, but how do they actually work ? Well, there are two main types, each with its own unique mission: geostationary satellites and polar-orbiting satellites . Think of them as different types of scouts, each with its specific area of responsibility.
Geostationary satellites are like the constant watchers. They orbit Earth at the same speed as the planet rotates, meaning they stay fixed over a specific location. This is incredibly useful for continuous monitoring of weather patterns. They’re primarily used to observe regions over time, watching the same part of the world 24 ⁄ 7 . This helps to track things like hurricanes as they develop and move. They also provide crucial data for short-term weather forecasting, such as severe thunderstorms. This constant view allows meteorologists to spot developing weather systems and issue warnings quickly. These satellites are positioned roughly 22,000 miles above the Earth’s equator. They provide detailed images of cloud cover, helping to identify the formation of weather systems. They also collect data on temperature, water vapor, and winds. They are the backbone of short-term weather forecasting, enabling us to get immediate updates on weather as it happens. They are a must-have for real-time monitoring of weather events.
Polar-orbiting satellites , on the other hand, are like the globe-trotters. They orbit Earth from pole to pole, passing over every part of the planet twice a day. They provide a much more detailed view of the entire Earth, but they don’t offer the continuous monitoring of geostationary satellites. They provide a detailed view of the whole planet, gathering comprehensive data on the atmosphere, land, and oceans. They gather the most accurate data about things like sea surface temperature and atmospheric conditions. This helps in climate monitoring and long-term weather forecasting. Polar-orbiting satellites are positioned much closer to Earth, at an altitude of around 500 miles. They collect high-resolution data that is very beneficial for climate research and environmental monitoring. They play a crucial part in the study of weather patterns and long-term climate changes. They provide invaluable data for various types of scientific research.
Decoding Satellite Imagery: What You’re Really Seeing
Alright, so we’ve got these satellites up in space, but what kind of information are they sending back down to Earth? Let’s break down the different types of satellite imagery and what they tell us.
Visible Imagery
Visible imagery is probably what you’re most familiar with. It’s essentially a picture of the Earth taken in the visible light spectrum. Think of it like taking a photo with your phone, but from space! This type of imagery shows cloud patterns, storm systems, and other visible features like land and oceans. It’s great for identifying the shape and structure of storms and tracking their movement. One of its greatest strengths is its simplicity. It gives a clear, intuitive view of the Earth’s surface and cloud cover, so it’s simple to spot obvious weather phenomena like hurricanes and severe storms.
However, it does have a limitation: visible imagery can only be used during daylight hours. At night, there’s no visible light for the satellites to pick up. Despite this limitation, the images are very beneficial for meteorologists to identify and track storm systems, cloud formations, and other surface features during the day. This data is very useful for short-term weather forecasts, storm warnings, and general weather analysis during the daytime. This is an essential part of the data used by meteorologists.
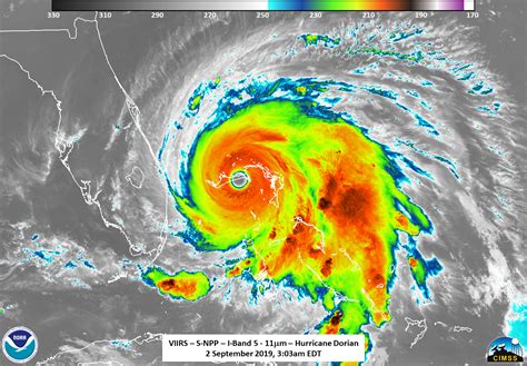
Infrared Imagery
Infrared imagery is where things get really interesting, especially for nighttime viewing. It measures the heat emitted by the Earth’s surface and clouds. Colder objects, like high-altitude clouds (the tops of thunderstorms, for example), appear brighter, while warmer objects appear darker. This allows meteorologists to determine cloud top temperatures and identify areas of intense storms. You can see the heat signatures of the clouds, revealing their height and intensity. They are crucial for tracking the progress of storms and severe weather events, both day and night.
Infrared is especially important for identifying strong thunderstorms, as the high, cold cloud tops indicate intense updrafts and potential for severe weather. It is also used to assess fog and low clouds at night. It is a critical tool for nighttime weather analysis and storm tracking. These are especially beneficial because they can give a view of cloud temperatures, offering the ability to understand weather events that are hard to see with the naked eye.
Water Vapor Imagery
Water vapor imagery shows the amount of water vapor in the atmosphere. It’s like a spyglass for humidity! This type of imagery is incredibly useful for tracking the movement of weather systems and identifying areas where storms might develop. Areas with high concentrations of water vapor appear brighter. This helps meteorologists understand the distribution of moisture in the atmosphere, which is a key factor in predicting rainfall and storm development. By watching the movement of water vapor, meteorologists can anticipate the arrival of weather systems and issue warnings. Areas of high moisture content are usually associated with the development of storms. This type of imagery can help meteorologists to understand and predict the development of precipitation. It’s a key part of understanding the dynamics of weather patterns. It gives a look at atmospheric conditions.
Accessing NOAA Satellite Data: Where to Find the Goods
Now that you know all about NOAA satellite imagery, how do you actually see it? Here are a few great places to access this valuable data.
NOAA’s Official Websites
The most reliable source is, of course, NOAA’s official websites . They offer a wealth of information, including real-time imagery, archived data, and educational resources. They are the best source to find the most up-to-date and accurate imagery, directly from the source. The NOAA websites provide access to the raw data as well as processed images. These official websites also offer explanations of the data and how to interpret it. They have many different formats and types of satellite imagery available, covering a wide variety of meteorological factors. They’re a must for anyone serious about understanding weather and climate. It’s always best to get your data from the source, so you can trust its authenticity.
Weather Apps and Websites
Many weather apps and websites incorporate NOAA satellite imagery into their forecasts. These are a great, user-friendly way to visualize weather patterns. You can often find animated loops of satellite images, which show the movement of clouds and storm systems over time. These are the most accessible and easy-to-use ways for the general public to see satellite imagery. Most apps also provide weather forecasts and warnings, combining the imagery with other weather data. They offer a great combination of ease of use and valuable information. They provide quick visual overviews of the weather, making it easy to understand the bigger picture. This is a very convenient option for everyday weather checks and storm tracking.
University and Research Websites
University and research websites are another potential source. They often have specialized datasets and analyses based on NOAA satellite data. This is an excellent option for more in-depth research and data exploration. Researchers may offer access to datasets and custom visualizations. These websites are excellent sources of specialized and unique data analyses. They frequently offer access to scientific papers and research based on NOAA satellite data. They can provide very detailed and in-depth views of weather events and phenomena.
Interpreting the Images: Tips for Beginners
Okay, so you’ve got your hands on some satellite imagery. Now what? Here are a few tips to help you interpret the images.
Cloud Types and Patterns
Familiarize yourself with cloud types and patterns . Different types of clouds indicate different weather conditions. For example, towering cumulonimbus clouds often signal thunderstorms, while wispy cirrus clouds suggest fair weather. Cloud patterns provide valuable clues to how weather systems are evolving. You can learn to identify different weather patterns, like fronts and storms, by observing the cloud formations. Taking time to learn about the various cloud types and their associated weather conditions is time well-spent.
Color Scales
Pay attention to the color scales used in the images. These scales often indicate temperature or moisture levels. For example, in infrared imagery, brighter colors might represent colder cloud tops, indicating more intense storms. Understanding color scales is essential for reading and understanding the images. The key to interpreting the image data correctly is understanding how the colors represent different weather variables.
Animation
Watch the animations ! Animated loops of satellite images are incredibly useful for tracking the movement of weather systems and seeing how they develop over time. Animated images are often the easiest way to see what’s happening. The animation will show how clouds and weather systems evolve over time. Animations can help you forecast the movement of storms or fronts. They’re a very effective way to understand dynamic weather systems.
The Impact of NOAA Satellite Data
NOAA satellite data has a tremendous impact on our lives. It improves weather forecasting, which saves lives and protects property. The data is a critical tool for understanding and predicting extreme weather events. It contributes to our understanding of climate change, allowing us to monitor and track changes in the environment. Satellite data aids many sectors, from aviation to agriculture. NOAA satellites give a better understanding of how weather and climate affect our world. NOAA satellites are critical for environmental monitoring, helping us to identify and track environmental challenges. They help in disaster response and mitigation efforts. This data is a critical tool for all of us. These satellites make a difference.
Conclusion: The Future of NOAA Satellite Imagery
So, there you have it! A quick look at the amazing world of NOAA satellite imagery. These satellites are constantly working to improve our understanding of weather, climate, and the environment. As technology advances, we can expect even more detailed and accurate data in the future. Now that you’re armed with this knowledge, you can impress your friends with your newfound weather expertise! Keep an eye on the skies, and stay curious! NOAA is constantly working on new and better ways to observe our world. As technology evolves, we can anticipate more detailed and accurate imagery. Continue to study weather patterns to expand your weather expertise.