Track Hurricane Ian's 2022 Path

I.Collectivacademy 96 views
Track Hurricane Ian's 2022 Path

Tracking Hurricane Ian’s Devastating 2022 Path

Hey guys, let’s dive into Hurricane Ian , a storm that really made its mark in 2022. We’re talking about a massive hurricane that brought a whole lot of destruction, and understanding its path is super important for remembering what happened and for future preparedness. This wasn’t just any storm; it was a Category 5 beast that hit Florida hard, causing widespread damage and impacting so many lives. The path it took was quite dramatic, starting out in the Caribbean and then intensifying as it moved towards the United States. Tracking the path of a hurricane like Ian involves looking at historical data, meteorological analyses, and satellite imagery. It’s a complex process, but it gives us a clear picture of where the storm went, how strong it was at different points, and the areas it affected most severely. We’ll be breaking down the journey of Hurricane Ian, from its birth to its landfall and eventual dissipation, so you get a real sense of its power and reach. Understanding the exact path is crucial for anyone looking to learn about the impacts of major weather events and how they unfold. It helps us appreciate the science behind forecasting and the devastating reality of what these natural disasters can do.

The Genesis and Early Journey of a Monster Storm

So, where did Hurricane Ian begin its destructive journey? This massive storm officially formed on September 23, 2022, over the southeastern Caribbean Sea. It started as a disorganized cluster of thunderstorms that gradually organized itself into a tropical depression, and then, quite rapidly, into a tropical storm. The conditions in the Caribbean were just right – warm ocean waters, low wind shear – which really allowed Ian to feed and grow. As it moved westward, it intensified, becoming a hurricane on September 24th. The early stages of Ian’s track were over areas like Cuba, where it caused significant damage before heading into the warmer waters of the Gulf of Mexico. This part of its journey is critical because it allowed Ian to strengthen considerably. Meteorologists were watching closely, and the forecasts, while improving, still painted a picture of a powerful storm approaching the Florida coast. The initial path wasn’t perfectly predictable, as is often the case with developing tropical systems, but the general direction was clear: north-northwest towards the Sunshine State. The rapid intensification over the Gulf was particularly concerning, turning Ian from a strong hurricane into an absolute monster just before landfall. This is a key point for understanding hurricane behavior: storms can strengthen incredibly fast when conditions are favorable, and the Gulf of Mexico in late September can be a perfect breeding ground for such rapid intensification. We’ll explore the specific models and data that helped track this dangerous progression, giving you guys a clearer insight into how forecasters work to predict these volatile events and warn communities in harm’s way. The early days of Ian’s life as a storm system highlight the dynamic nature of tropical meteorology.

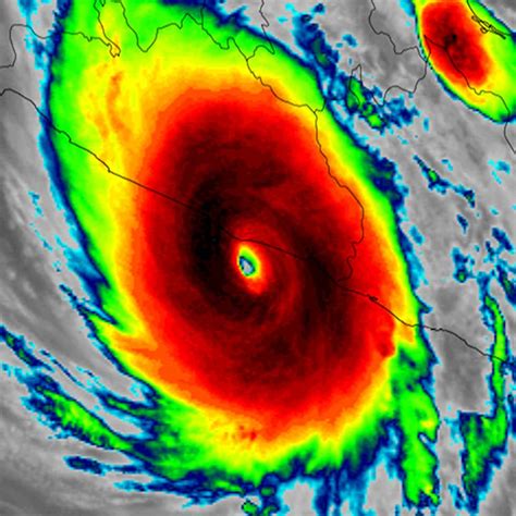
Intensification Over the Gulf: A Critical Turning Point

This is where things got really serious , guys. After churning over Cuba and leaving a trail of destruction, Hurricane Ian entered the Gulf of Mexico. Now, the Gulf of Mexico is notoriously warm, and in late September 2022, it was like a superhighway of warm, moist air – the perfect fuel for a hurricane. As Ian moved across these incredibly conducive waters, it underwent a period of explosive intensification . What does that mean? It means the storm went from being a strong hurricane to an extremely dangerous, major hurricane in a matter of hours. We’re talking about its wind speeds skyrocketing, and its structure becoming incredibly organized, with a well-defined eye forming. This rapid intensification is one of the most concerning aspects of hurricane behavior, and it’s something forecasters and emergency managers are always on high alert for. The official track data shows Ian strengthening from a Category 1 hurricane to a Category 4 hurricane in just 24 hours over the Gulf. This dramatic surge in power is what led to the catastrophic conditions experienced during landfall. The precise path Ian took across the Gulf was crucial. It stayed over the warmest waters, minimizing any interaction with cooler ocean patches or landmasses that might have slowed its growth. The forecasting models at this stage were working overtime, trying to pinpoint the exact location and intensity of landfall. This period of intensification is a stark reminder of the power of the ocean and the atmosphere, and how quickly a developing storm can turn into a life-threatening event. Understanding this phase of Ian’s life is key to grasping the severity of the disaster that followed. It wasn’t just a storm moving through; it was a storm supercharging itself, preparing to unleash its full fury.

Landfall: A Catastrophic Encounter with Florida

This is the moment everyone remembers – Hurricane Ian’s devastating landfall in Florida. After its incredible surge of power over the Gulf, Ian made landfall on the southwestern coast of Florida near Cayo Costa on September 28, 2022, as a Category 4 hurricane . The wind speeds were immense, estimated at around 150 mph, accompanied by a catastrophic storm surge that inundated coastal communities. This wasn’t just a glancing blow; it was a direct hit on some of the most populated and picturesque areas of the state. The storm surge , in particular, was a major factor in the destruction. Areas like Fort Myers Beach, Sanibel Island, and Cape Coral experienced unprecedented flooding, with waves crashing miles inland, destroying homes, businesses, and infrastructure. The path of landfall dictated the areas that bore the brunt of Ian’s fury. Moving inland, Ian continued to weaken but still brought damaging winds and torrential rain across the entire Florida peninsula, eventually making a second landfall near Georgetown, South Carolina, as a Category 1 hurricane before weakening further and eventually dissipating. The sheer force of the winds and the persistent flooding caused by the storm surge led to widespread power outages, severe damage to roads and bridges, and a tragic loss of life. The tracking of Ian’s path during this landfall phase is crucial for understanding the extent of the damage and the specific impacts on different regions. It highlights how a storm’s trajectory and intensity at landfall can create vastly different levels of destruction, even within the same state. For those who lived through it, and for those studying its effects, the moment of landfall is seared into memory as a period of intense fear and overwhelming devastation.

The Aftermath: Lingering Impacts and Recovery Efforts

Following Hurricane Ian’s destructive path across Florida and into the Carolinas, the aftermath was a stark reality of immense loss and the long road to recovery. The economic impact was staggering, with billions of dollars in damages estimated across the affected states. Homes were reduced to rubble, businesses were swept away, and vital infrastructure, including power grids and water systems, were severely compromised. The human toll was even more heartbreaking, with numerous fatalities attributed to the storm and its aftermath, and thousands displaced from their homes, seeking shelter and assistance. Recovery efforts were massive and ongoing. Federal, state, and local agencies, along with numerous volunteer organizations, mobilized to provide aid, clear debris, restore essential services, and help residents rebuild their lives. The path tracker data became invaluable during this period, not just for understanding where the storm hit hardest, but also for planning the distribution of resources and aid. Communities that were directly in Ian’s path faced the daunting task of starting over. The psychological impact on survivors was also profound, dealing with trauma, loss, and the uncertainty of the future. The resilience of the affected communities was evident, but the scars left by Hurricane Ian were deep. This phase of the storm’s story – the aftermath – underscores the long-term consequences of such powerful natural disasters. It’s a reminder that the impact of a hurricane extends far beyond the initial winds and rain, affecting the social fabric, economy, and mental well-being of entire regions for years to come. Understanding the full scope of Ian’s devastation requires looking at this critical post-storm period and the monumental efforts to heal and rebuild.

Lessons Learned: Preparing for Future Storms

When we look back at Hurricane Ian’s devastating 2022 path, it’s not just about remembering the destruction; it’s about learning valuable lessons to prepare for future storms. One of the most critical takeaways is the importance of early and accurate forecasting . Ian’s rapid intensification over the Gulf of Mexico highlighted how quickly storms can evolve, underscoring the need for continuous monitoring and updated predictions. Hurricane preparedness is paramount. This includes having a well-thought-out evacuation plan, building emergency kits with essential supplies, securing your home against high winds and flooding, and staying informed through official channels. For communities in hurricane-prone areas, infrastructure resilience is key. This means investing in stronger building codes, improving drainage systems, and ensuring that critical infrastructure like hospitals and power grids can withstand extreme weather events. The role of climate change is also a topic of significant discussion in the context of powerful storms like Ian. Warmer ocean temperatures can fuel more intense hurricanes, making preparedness even more crucial. Educating the public about hurricane risks and safety measures is an ongoing effort that needs constant reinforcement. The data from hurricane path trackers and storm analyses are invaluable tools for researchers and emergency managers, helping to refine forecasting models and develop better mitigation strategies. Ultimately, the devastating impact of Hurricane Ian serves as a powerful, albeit tragic, reminder that we must take hurricanes seriously, invest in preparedness, and work towards building more resilient communities to face the challenges of a changing climate. The lessons from Ian are vital for safeguarding lives and property in the face of future meteorological threats. It’s a collective responsibility, guys, to stay informed and prepared.

Conclusion: Remembering and Rebuilding

As we wrap up our look at Hurricane Ian’s 2022 path , it’s clear this storm left an indelible mark on the areas it ravaged. From its genesis in the Caribbean to its catastrophic landfall in Florida and its eventual dissipation, Ian showcased the raw, untamed power of nature. The historical data and the detailed tracking of its path provide us with a comprehensive understanding of its destructive capabilities and the far-reaching consequences it wrought. For those who experienced it firsthand, the memories are vivid and the journey of recovery is ongoing. The economic and human costs were immense, underscoring the critical need for robust disaster preparedness and response strategies. Moving forward, the lessons learned from Ian – the importance of rapid intensification awareness, effective evacuation procedures, resilient infrastructure, and continuous public education – must guide our efforts. Hurricane Ian serves as a stark reminder that while we cannot control the weather, we can control how prepared we are to face it. By studying its path, understanding its intensity, and learning from the aftermath, we can work towards building stronger, safer communities for the future. Let’s keep the impacted communities in our thoughts and continue to support their rebuilding efforts. Stay safe, stay informed, and always be prepared, guys. The power of storms like Ian demands nothing less.