Typhoon Map Taiwan: Track Storms Live

I.Collectivacademy 59 views
Typhoon Map Taiwan: Track Storms Live

Typhoon Map Taiwan: Your Essential Guide to Tracking Storms

Hey everyone! When we talk about typhoon map Taiwan , we’re diving into something super important, especially for those living on or visiting the island. Taiwan, being smack dab in the Western Pacific, is no stranger to these massive weather systems. Having a reliable typhoon map isn’t just about satisfying curiosity; it’s a critical tool for safety , preparation , and informed decision-making . Whether you’re a local resident needing to secure your home, a business owner planning logistics, or a tourist wondering if your travel plans are about to get soggy, understanding and accessing these maps is key. We’ll break down what makes a good typhoon map, where to find the best ones, and how to interpret the information they provide so you can stay one step ahead of Mother Nature’s fury. Get ready to become a typhoon tracking pro!

Understanding Typhoon Maps: More Than Just Pretty Pictures

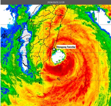
So, what exactly are we looking at when we talk about a typhoon map Taiwan ? It’s not just a static image of a swirling cloud, guys. These maps are dynamic, data-rich visualizations that show the current position, intensity, and projected path of a typhoon. Think of them as your real-time weather radar on steroids, specifically tailored for tropical cyclones. A good typhoon map will typically display several key pieces of information. Firstly, you’ll see the current location of the typhoon’s eye, often marked with a prominent symbol. This is usually accompanied by data like its latitude and longitude , and sometimes its wind speed (indicating its category) and barometric pressure (a measure of its intensity). The lower the pressure, the stronger the storm, generally speaking. Perhaps the most crucial element is the projected path , usually shown as a dashed or colored line extending forward from the storm’s current position. This path isn’t a guarantee; it’s a forecast based on complex computer models, and it often comes with a cone of uncertainty . This cone represents the probable area where the storm could track, acknowledging that forecasts aren’t always perfectly precise. Understanding this cone is vital – it means areas outside the cone can still experience significant impacts, like heavy rain and strong winds, not just the areas directly in the storm’s predicted path. Many maps also show forecast intensity changes , indicating whether the typhoon is expected to strengthen or weaken. You might also see symbols for expected rainfall amounts and areas likely to experience storm surge . Advanced maps might even overlay other relevant data, like sea surface temperatures (which fuel typhoons) or wind shear. It’s this combination of real-time data and predictive modeling that makes a typhoon map an indispensable tool for anyone in Taiwan during typhoon season. Staying updated with this information is paramount for safety and preparedness.

Where to Find Reliable Typhoon Maps for Taiwan

When a typhoon is brewing, knowing where to get accurate typhoon map Taiwan information is paramount. You don’t want to be relying on outdated or unofficial sources, especially when your safety is on the line. Luckily, Taiwan has some excellent official and reputable resources. The Central Weather Administration (CWA) , formerly known as the Central Weather Bureau (CWB), is the go-to source for all meteorological information in Taiwan. Their website is packed with real-time data, including detailed typhoon tracking maps, advisories, and warnings. They often provide multiple map views, including satellite imagery, radar, and their official forecast track. This is usually the most reliable source for official alerts and warnings. Beyond the CWA, there are international meteorological organizations that also provide valuable tracking information. Agencies like the Japan Meteorological Agency (JMA) and the U.S. Naval Oceanography Portal are highly respected for their typhoon forecasting capabilities. While they might not focus solely on Taiwan, their track predictions for Western Pacific typhoons are usually very accurate and can offer a good cross-reference to the CWA’s data. For a more generalized, yet often very user-friendly, overview, global weather websites like AccuWeather, The Weather Channel, or Windy.com are fantastic. Windy.com, in particular, is loved by many for its visually stunning and highly interactive maps that allow you to overlay various weather models, wind patterns, and forecast tracks. These sites aggregate data from multiple sources, offering a comprehensive picture. However, always remember that for official evacuation orders or specific local warnings, the CWA’s advisories are the ones to follow. It’s a good strategy to bookmark a few of these resources so you can easily switch between them for a well-rounded understanding of a developing typhoon situation. Having these links handy ensures you’re getting timely and trustworthy information when it matters most.

How to Read and Interpret Typhoon Maps: Turning Data into Action

Alright guys, so you’ve found a great typhoon map Taiwan , but staring at all those lines, symbols, and numbers can be a bit daunting, right? Don’t worry, we’ll break down how to turn that data into actionable insights. First off, let’s talk about the typhoon symbol . This is usually a distinct icon representing the storm itself. Pay close attention to any accompanying numbers – these often indicate the wind speed in knots or kilometers per hour, which directly relates to the typhoon’s category (e.g., a Category 1 typhoon has sustained winds between 74-95 mph). Next, the projected track . This is that line showing where the storm is expected to go. Remember the cone of uncertainty we talked about? It’s crucial. If Taiwan is within or near that cone, it means the island is at risk. Even if the center of the storm is forecast to miss the island, the outer rainbands and strong winds can still cause significant damage. So, don’t just look at the line; consider the entire shaded area. Also, check the timing associated with the projected track. Forecasts usually show positions at 6-hour or 12-hour intervals. This tells you when the storm is expected to be at certain locations, helping you anticipate landfall or closest approach times. Intensity changes are also key. Is the storm expected to strengthen before hitting land, or weaken over cooler waters or due to unfavorable atmospheric conditions? This information helps gauge the potential severity of the impact. Look for symbols or color-coding indicating expected rainfall amounts . Some maps will highlight areas expected to receive torrential downpours, which can lead to flash floods and landslides – a major hazard in Taiwan’s mountainous terrain. Finally, pay attention to warning levels . Official agencies like the CWA will issue different levels of alerts (e.g., sea warnings, land warnings). These directly translate to actions you need to take, from securing windows to evacuation. By understanding these core components – the storm’s status, its predicted movement and intensity, and the associated warnings – you can move from simply observing a map to actively preparing for a typhoon. This knowledge is power when it comes to staying safe.

Typhoon Season in Taiwan: When to Keep an Eye on the Map

When should you really be paying close attention to that typhoon map Taiwan ? The official typhoon season in Taiwan runs from May to November . However, the peak period, when the frequency and intensity of typhoons are generally highest, is typically from July to September . During these months, the warm waters of the Western Pacific provide ample fuel for tropical cyclones to form and intensify. Sea surface temperatures are at their warmest, and atmospheric conditions are often more conducive to storm development. Even outside of these peak months, it’s wise to remain vigilant. Typhoons can and do occur in the shoulder months of May, June, and October, November. A late-season typhoon in November, for instance, can sometimes be particularly strong or track in unexpected ways. So, while July through September are your prime typhoon-watching months, it’s generally recommended to keep at least a casual eye on typhoon activity from late spring through late autumn. What does